Vacant Land near the Bras d’Or Lake - Orangedale - Cameron Road

quiet and private setting, in walking distance to the Bras d’Or Lake, power, internet, freshwater line, 10.1 - 13 acr Lot,

For Sale by Owner on Cape Breton Island, Nova Scotia, CANADA

detailed information here

maple leaf cape breton properties

140 acr property for sale on Cape Breton Is;land
pin_drop

Our Office Location

South Side Whycocomagh Bay
Cape Breton Island
Nova Scotia
CANADA

business_center

Company Details

Cape Breton Properties
Marketing IT Service Inc.

phone

Call us in CANADA

Contact: Roland Moeller
+1 902 756 2865
Mon - Fri, 9:00-4:00pm AST

phone

Call us in Germany

Contact in Germany:
Mr. Günter Pflugbeil
07724 - 91 83 27
Mon - Fri, 9:00-4:00pm MEZ

priority_high

Attention    

This is a For Sale By Owner (FSBO) marketing and advertising website. All real estate on these websites are sold by the owners or their legal representative in Nova Scotia. If a property is marked with: >Buyers Agents Welcome<, the seller is willing to offer a commission to any real estate agent who brings an acceptable offer from a qualified buyer. All information is provided to the best of our knowledge and belief. But no binding statements in regards to property features, measurements, conditions or any other term are made. All information displayed is believed to be accurate but is not guaranteed and should be independently verified. Errors and Omissions Excepted! All inquiries will be forwarded to the owners. Under no circumstances any legal or any other professional counselling or advice is offered. You are strongly urged to see a professional for legal or other advice.

pan_tool

Attention    

Unfortunately, we have to deal a lot with scammers, wind-bags and e-mail address harvesters. That is why inquiries without a legitimate e-mail address, without a complete name, address and without a phone number will not be forwarded to the owner. Usually, those messages will get where they belong: into the trash can. Of course, our software may not be 100% bullet-proof and mistakes just happen. If you believe your inquiry was handled the wrong way, we offer our apologies and ask you to give us a call. Thank you for your understanding.

Vacant Land near Bras d’Or Lake in Orangedale - Cameron Road on Cape Breton

For Sale By Owner on Cape Breton Island, Nova Scotia, Canada

 

Home 1,560 sqft in Valley Mills 2.08 acres in walking distance to the Bras d’Or Lake and River Denys for sale on Cape Breton Island, Nova Scotia

Downtown Orangedale

Waterfront

Orangedale is a well-known vibrant place peaceful and quiet community right at the Bras d'Or Lake with almost 30 inhabitants, 2 cats, a few dogs and other live stock. Orangedale is famous for its Railway Museum and for its Shopping Centre and Gas Station ...

Fishing in the Bras d’Or Lake and River Denys on Cape Breton Island, Nova Scotia, Canada

Smith's Convenience Sore

Shopping Centre and Gas Station

in the centre of Orangedale

 

What they don’t have

you do not need!

Live and work where other people are on vacation - between the Cape Breton Highland National Park, the Atlantic Ocean and the Bras d’Or Lake

Cape Breton Island

Cabot Trail and National Park

Live and work where other people are on vacation!

Enjoy this breathtaking area between the Cape Breton Highland National Park, the Atlantic Ocean and the Bras d’Or Lake!
Photo Galleries Cape Breton here

maple leaf cape breton properties

Aerial Video of this property for sale in Canada, Nova Scotia

on Cape Breton Island

 

 

 

maple leaf cape breton properties

Photo Gallery of the vacant land for sale in Orangedale - Cameron Road

on Cape Breton Island, Nova Scotia, Canada

vacant land near Bras d’Or lake for sale on Cape Breton Island, Nova Scotia, Canada

Property For Sale on Cape Breton Island

vacant land near Bras d’Or lake for sale on Cape Breton Island, Nova Scotia, Canada

Property For Sale on Cape Breton Island

real estate for sale on Cape Breton, Nova Scotia, Canada

Property For Sale on Cape Breton Island

property near Bras d’Or lake for sale on Cape Breton Island, Orangedale Cameron Road

Property For Sale on Cape Breton Island

real estate for sale on Cape Breton, Nova Scotia, Canada

Property For Sale on Cape Breton Island, Nova Scotia

real estate for sale on Cape Breton, Nova Scotia, Canada

Property For Sale on Cape Breton Island, Nova Scotia

vacant land near Bras d’Or Lake for sale on Cape Breton Island, Nova Scotia, Canada

Property For Sale Orangedale Cape Breton NS

vacant land near Bras d’Or Lake for sale on Cape Breton Island, Nova Scotia, Canada

Property For Sale Orangedale Cape Breton NS

vacant land near Bras d’Or Lake for sale on Cape Breton Island, Nova Scotia, Canada

Property For Sale Orangedale Cape Breton NS

vacant land near Bras d’Or lake for sale on Cape Breton Island, Nova Scotia, Canada

Property For Sale on Cape Breton Island

vacant land near Bras d’Or lake for sale on Cape Breton Island, Nova Scotia, Canada

Property For Sale on Cape Breton Island

real estate for sale on Cape Breton, Nova Scotia, Canada

Property For Sale on Cape Breton Island

vacant land near Bras d’Or lake for sale on Cape Breton Island, Nova Scotia, Canada

Property For Sale on Cape Breton Island

vacant land near Bras d’Or lake for sale on Cape Breton Island, Nova Scotia, Canada

Property For Sale on Cape Breton Island

real estate for sale on Cape Breton, Nova Scotia, Canada

Property For Sale on Cape Breton Island

vacant land near Bras d’Or lake for sale on Cape Breton Island, Nova Scotia, Canada

Property For Sale on Cape Breton Island

vacant land near Bras d’Or lake for sale on Cape Breton Island, Nova Scotia, Canada

Property For Sale on Cape Breton Island

real estate for sale on Cape Breton, Nova Scotia, Canada

Property For Sale on Cape Breton Island

vacant land near Bras d’Or lake for sale on Cape Breton Island, Nova Scotia, Canada

Property For Sale on Cape Breton Island

vacant land near Bras d’Or lake for sale on Cape Breton Island, Nova Scotia, Canada

Property For Sale on Cape Breton Island

real estate for sale on Cape Breton, Nova Scotia, Canada

Property For Sale on Cape Breton Island

maple leaf cape breton properties

More Information about this property

for sale by owner on Cape Breton Island, Nova Scotia, Canada

The property for sale is in walking distance to the village of Orangedale, to the wharf and beach at the Bras d’Or Lake, to the Orangedale Railway Museum, and to the Smith Community Centre.

in front of the property: serviced road (Cameron Rd), power, public freshwater line in reach at Orangedale Rd.,
High-Speed-Internet, Sat.-TV,1.5 GB Fibre Optic Internet by Bell installed 2021
15 Min. to Iona with 12 grade school, soccer field, Highland Village Museum, Pub and Grill with draft beer,
10 Min. to Whycocomagh with schools, gym, bakery, post office, several restaurants, gas stations,
supermarket, Home Hardware, Fishing and Hunting store and much more,

 

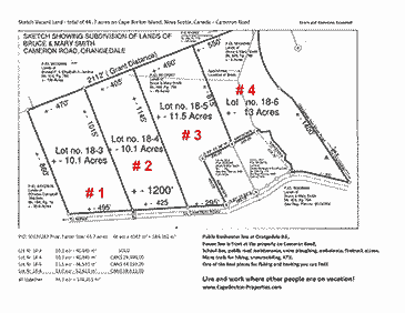
Lot Nr 18-3            10.1 acr - 40,845 m2                   SOLD
Lot Nr 18-4          10.1 acr - 40,845 m2       CAN$ 29.999,00                plus 15% HST
Lot Nr 18-5          11.5 acr - 46,540 m2       CAN$ 34.159,00                plus 15% HST
Lot Nr 18-6          13.0 acr - 52,611 m2       CAN$ 38.612,00                plus 15% HST
all together           44.7 acr = 180,900 m2       price for all:               make us an offer

 

You can download a survey and subdivision plan here

 

Orangedale is a well-known vibrant place peaceful and quiet community right at the Bras d'Or Lake with almost 30 inhabitants, 2 cats, a few dogs and other live stock.
Orangedale is famous for its Railway Museum and for its Shopping Centre and Gas Station:

“Smith Convenience Store”

If they don’t have it, you don’t need that!

Public freshwater line at Orangedale Rd.,
Power line in front at the property on Cameron Road,
School Bus, public road maintenance, snow ploughing, ambulance, firetruck access,
Many trails for hiking, snowmobiling, ATV,
One of the best places for fishing and hunting you can find!

Cape Breton Island: Live and work where other people are on vacation!

 

maple leaf cape breton properties

In this aerial video you can see some impressions of the waterside and the centre of Orangedale:

(The lots pictured in this video are sold!)

 

maple leaf cape breton properties

 

How to find this property for sale on Cape Breton Island?

Attention!

We are asking you to respect the owner’s privacy!
Viewings and visits by appointment only!

Cold drop-ins without prior arrangement are not welcome.

45°54'18.5"N 61°06'13.1"W 45.905132, -61.103643

Cameron Road, Orangedale, NS, BOE 2KO

 

 

maple leaf cape breton properties

Aerial Videos from the neighbourhood of Orangedale, the Bras d’Or Lake and Cape Breton Island
Nova Scotia, Canada

Aerial Video of Sea Trout Estates

vacant land at the Bras d'Or Lake just 3 minutes from Orangedale

Sea Trout Estates has been sold June 2021.

 

maple leaf cape breton properties

 

Aerial Videos from the neighbourhood of Orangedale, the Bras d’Or Lake and Cape Breton Island
Nova Scotia, Canada

Aerial Video of Cape Breton Cottage

this cottage at the Bras d'Or Lake is just 5 minutes from Orangedale

This cottage is not for sale.

But feel free to enjoy the aerial video about Cape Breton Island, the Highlands and the Bras d'Or Lake.

 

maple leaf cape breton properties

photo galleries Cape Breton Island Nova Scotia Canada

Here You can find many more Photos from Cape Breton Island
and additional Galleries >>>

Cape Breton Highlands, Cabot Trail...

Whale Watching Cape Breton...

The Bras d'Or Lake...

Astrid's photo gallery Cape Breton...

Fly Fishing Cape Breton Island ...

 

jumping horse farm for sale cape breton nova scotia

Our contact information can be found here

 

or send your inquiry to the owner via this e-mail:

Hello Cape Breton Properties

mail to Black Rock farm for sale on Cape Breton Island Nova Scotia Canada

Attention:

Inquiries without a legitimate e-mail address, without a complete name, address and without a phone number will not be forwarded to the owner
but will get where it belongs: the garbage bin.
Thank you.

No Agents Please!

No, the owner is not prepared to consider signing form 112 - SELLER CUSTOMER ACKNOWLEDGEMENT AND FEE AGREEMENT.

Please respect the owner’s privacy! Viewings and visits by appointment only!

Cold drop-ins without prior arrangement are not welcome.

cape Breton Properties Maple leafe sm

All properties are subject to prior sale, change or withdrawal. The operator of this website shall not be responsible for any typographical errors, misinformation, or misprints, and they shall be held totally harmless from any damages arising from reliance upon this data. This data is provided exclusively for consumers personal, non-commercial use and may not be used for any purpose other than to identify prospective properties they may be interested in purchasing. All data is obtained from various sources and may not have been verified and are subject to change without notice. All information should be independently reviewed and verified for accuracy. Properties displayed may be listed or sold by various participants in the MLS.

cape Breton Properties Maple leafe sm